最高楼面限价12238元平!泰州又挂牌出让3宗地块!
2021年6月10号,泰州市自然资源和规划局决定以挂牌方式出让3(幅)地块的国有土地使用权。总出让面积超12万方,最高楼面限价12238元/平。详情如下:
挂牌的3幅地块包括1幅商住地块、1幅住宅地块,1幅医疗卫生用地,起拍总价约16亿元。
土地位置:泰州医药高新区永定路北侧、前进河东侧
地图范围:东至泰州医药高新区规划经五路、南至永定路、西至前进河、北至规划永兴路。
根据协议,项目须提供两种户型的高层或小高层安置房源,具体包括:120平方米户型160套、140平方米户型150套。安置房源由泰州医药高新技术产业开发区管理委员会或其指定的单位回购,回购单价9880元/平方米(签订回购协议,回购协议与本协议具体同等效力)。
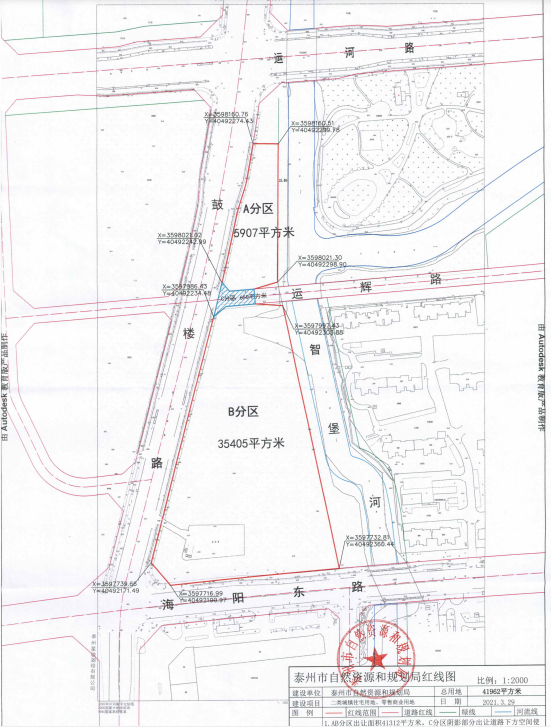
土地位置:海陵区海阳东路北侧、鼓楼路东侧
地图范围:海陵区海阳东路北侧、鼓楼路东侧地块。
投资规模:地块出让宗地面积约41962平方米(62.94亩),其中分为:A分区为住宅用地、零售商业用地,B分区为住宅用地、零售商业用地,C分区为地下停车场。
AB分区要求统一规划,整体开发。A分区零售商业需整体自持,建设城市书房,具备24小时开放条件的场馆型自助公共图书馆,在签订土地出让合同18个月内投入运营。
土地位置:泰州医药高新区解家舍路南侧约100米、鼓楼路东侧
免责声明:凡注明“来源:房天下”转载请注明出处;文章内容仅供参考,不构成投资建议,也不代表房天下赞同其观点。
土地挂牌是什么意思 土地挂牌一般程序是什么
土地挂牌是什么意思 集体房屋产权是什么
北仑梅山春晓还会发展吗 北仑春晓房价行情怎么样
二手房交易市场行情如何?购买二手房需要注意什么?
二手房行情走势如何 如何跨过二手房陷阱

产业招商/厂房土地租售:400 0123 021
或微信/手机:13524678515; 13564686846; 13391219793
请说明您的需求、用途、税收、公司、联系人、手机号,以便快速帮您对接资源。
长按/扫一扫加葛毅明的微信号
扫一扫关注公众号
扫描二维码推送至手机访问。
版权声明:本文由中国产业园区招商网发布,如需转载请注明出处。部份内容收集于网络,如有不妥之处请联系我们删除 13391219793 仅微信







