泰州土地市场再挂4宗地块最高楼面限价10117元㎡将于
原标题:泰州土地市场再挂4宗地块,最高楼面限价10117元/㎡,将于...
土地市场,一直被视为楼市“晴雨表”,影响着房地产市场的预期和走向。最近泰州土地市场又挂出4幅涉宅地块,都将集中在12月下旬集中出让。不出意外,这也是今年土拍市场的收官之战!
值得注意的,之前挂牌终止的新中医院北地块也在其中,与之前相比,此次挂出地价调低了,起拍总价由原先的16亿元,下调为14.54亿元。
1、〔2021〕18-1号地块:商住性质,出让面积约102141㎡(约153亩),位于医药高新区龙凤家园北侧,起拍楼面价为3990元/㎡,最高楼面限价为5977元/㎡;
2、〔2021〕18-2号地块:商住性质,出让面积约124559㎡(约186亩),位于海陵区中医院北侧,起拍楼面价为6748元/㎡,最高楼面限价为10117元/㎡;
3、〔2021〕19-1号地块:住宅性质,出让面积约79987㎡(约119亩),位于高港区天逸名邸北侧,起拍楼面价为3575元/㎡,最高楼面限价为5359元/㎡;
4、〔2021〕19-2号地块:商住性质,出让面积约52302㎡(约78亩),位于高港区宣堡港北侧,起拍楼面价为3860元/㎡,最高楼面限价为5772元/㎡;
同样的,本次挂出的4幅地块,均设有最高限价,依旧是采用“限地价+竞政府保障房建设资金”方式出让。
泰地储告〔2021〕18-1号地块,即寺巷街区控规调整之后的B6-7商住地块。值得注意的,该项目是双寿三期保障性安居工程项目。根据控规调整,地块周边规划有大片的公园绿地,未来小区环境是毋庸置疑的。
项目紧邻周山河、南官河,距离天德湖公园也不远,生态资源好的没话说。此外,周山河小学、周山河初中也都在项目周围;
商业上,紧邻万象城还有建设当中的凤城悦天地,未来小区还有自己的配建商业,对于一个安置房小区来说,这真的是顶配的了。
周边有个体量较大的小区龙凤家园,生活氛围不错,二手房目前挂牌价格8645元/㎡。
地块范围:东至泰州医药高新区南官河、南至祥龙路、西至吴陵南路、北至空地。
2、地块分为A分区和B分区,A分区为零售商业用地,B分区为住宅用地;住宅限高30米(10层)-80米(26层);商业限高9米(2层)-23米(5层)。
4、回购单价:地上住宅标准层10500元/㎡,地下室4000元/㎡(含机动车库、非机动车库,不含人防地下室)。
泰地储告〔2021〕18-2号地块,即新中医院北地块。新中医院北地块经历挂牌、终止挂牌,沉寂一段时间之后又重新挂牌了!
本次挂牌与之前相比,在地价还有规划上都有所调整,首次起拍总价由原先的16亿元,下调为14.54亿元;其次规划上住宅的限高从原先的24米(8F)-60米(20F)调整为18米(6F)-60米(20F),这意味着在未来产品打造有了更多可能。
特别要说明的,该地块可以开发建筑面积超144㎡的住宅,与以往的建设单套住房建筑面积超过144㎡的住宅要求有大大的不同。
配套方面,地块南侧紧邻泰州中医院,周边有城东中心小学、实验小学、泰州二中附属初中等教育资源。
周边小区林立,有美好易居城、润东花苑、七里香溪、紫东花苑、莱茵东郡、翰林雅居等,居住人口密集,生活气息浓厚;目前周边二手房挂牌价在1.05万-1.4万左右。
地块范围:东至海陵区231东环快速路、南至兴工路、西至七里河、北至兴业路。
2、根据规划条件,地块分为A分区、B分区和C分区,其中A分区为商住地块,B分区为住宅地块,C分区为地价交通运输设施;
3、AB分区住宅限高18米(6F)-60米(20F),商业限高8米(2F)-16米(4F)。
4、竞得人需提供安置房源不少于420套,总建筑面积不少于49788其中,户型面积约94㎡不少于102套,户型面积约120㎡不少于216套,户型面积约140㎡不少于102套;
6、安置房源由泰州东部新城发展集团有限公司回购,回购单价11000元/㎡;
7、此外该项目中建设的单套住宅建筑面积超过144㎡住宅的总面积,可不超过计容面积的40%。
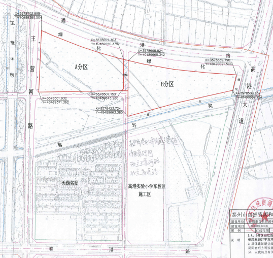
地块周边有环溪小学、环溪初级中学、高港实验学校、高港中学、泰州第三人民医院等教育医疗配套。项目紧邻通港路、高港大道等交通要道,出行还是非常便利的。
周边有不少成熟小区,有东方明珠花苑、天逸名邸、鹏欣瑞都、天逸华府等生活氛围浓郁,目前二手房均价在12000元/㎡左右。
地块范围:东至高港区口岸街道高港大道、南至蔡圩河、西至王营河路、北至通港路。
2、该地块分为ABC三个分区,其中AB分区为住宅用地,建筑限高24米(8F)-60米(20F)。
地块紧邻扬子江工业园区,距离口岸雕花楼景区也不远,周边有口岸中心小学、口岸中学、口岸实验学校、城南小学、高港人民医院、高港中医院等教育医疗资源。
地块范围:东至高港区口岸街道王营中沟、南至宣堡港,西至扬子江路、北至扬子江路。
1、规划建筑面积:不大于83683平方米、不小于62762 平方米,其中:零售商业建筑面积不大于5500平方米、不小于5000平方米。
2、住宅建筑限高15米(5层)-30米(10层);商业建筑限高9米(2层)-18米(4层)。

产业招商/厂房土地租售:400 0123 021
或微信/手机:13524678515; 13564686846; 13391219793
请说明您的需求、用途、税收、公司、联系人、手机号,以便快速帮您对接资源。
长按/扫一扫加葛毅明的微信号
扫一扫关注公众号
扫描二维码推送至手机访问。
版权声明:本文由中国产业园区招商网发布,如需转载请注明出处。部份内容收集于网络,如有不妥之处请联系我们删除 13391219793 仅微信












